Používame cookies

Súbory cookie a ďalšie technológie sledovania používame na zlepšenie vášho zážitku z prehliadania našich webových stránok, na to, aby sme vám zobrazovali prispôsobený obsah a cielené reklamy, na analýzu návštevnosti našich webových stránok a na pochopenie toho, odkiaľ naši návštevníci prichádzajú. Viac info

Predaj rodinný dom v Trebaticiach – bývanie s potenciálom len pár minút od Piešťan

Popis nehnuteľnosti

Zdieľať na Facebooku

Ak hľadáte pokojné bývanie v príjemnej obci, no zároveň chcete zostať na dosah mesta, tento rodinný dom v Trebaticiach môže byť presne to, čo hľadáte. Slnečný trojizbový dom ponúka praktickú dispozíciu, garáž, menší pozemok s priestorom na oddych a výbornú dostupnosť.

Základné informácie
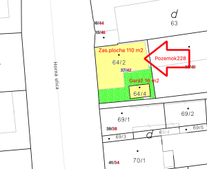
Lokalita: Horná ulica, Trebatice
Pozemok: 228 m²
Zastavaná plocha: 110 m²
Úžitková plocha: cca 98 m²
Garáž: 16 m²
Počet izieb: 3
Pivnica: cca 1/3 domu
Kúrenie: plynové

Orientácia domu:
obývacia izba a spálňa – juhozápad
kuchyňa a izba – severovýchod

Dispozícia:
Do domu vstupujete cez priestrannú vstupnú chodbu, z ktorej sa plynulo dostanete do jednotlivých miestností. Dom ponúka:
•    obývaciu izbu s dostatkom denného svetla
•    spálňu
•    detskú izbu / pracovňu
•    kuchyňu
•    komoru
•    kúpeľňu so sprchovým kútom

Dispozícia je praktická a zároveň poskytuje priestor na úpravy podľa vlastných predstáv.

Technický stav a rekonštrukcia:
•    Rodinný dom bol kolaudovaný v 70. rokoch a v rokoch 2017 – 2018 prešiel čiastočnou rekonštrukciou, najmä v exteriéri a technických častiach:
•    nová fasáda
•    zateplenie - polystyrén 
•    nová sedlová plechová strecha
•    nové klampiarske práce
•    nový, vyvložkovaný komín
•    rekonštrukcia elektroinštalácie a rozvodov kúrenia
•    plastové okná so žalúziami
•    elektrina 220/380 V

Dom je tehlový, napojený na všetky inžinierske siete:
•    plyn
•    elektrina
•    obecná voda
•    odpad riešený trativodom
•    kanalizácia – prípojka sa nachádza priamo pred domom

 Nového majiteľa čaká dokončenie interiéru podľa vlastných predstáv, čo ponúka ideálnu príležitosť vytvoriť si domov presne podľa seba.

Pozemok a exteriér:
Na pozemku s výmerou 228 m² sa nachádza:
garáž (16 m²)
priestor na vonkajšie posedenie, grilovanie či relax 
Menší pozemok znamená zároveň minimálnu údržbu, čo oceníte najmä v dnešnom rýchlom životnom tempe.

Lokalita a dostupnosť:
Trebatice sú obľúbenou obcou s kompletnou základnou vybavenosťou:
•    obecný úrad
•    potraviny
•    materská a základná škola
•    futbalové ihrisko
•    kostol
•    nová cyklotrasa ktorá prepája Vrbové a Piešťany

Vzdialenosti:
•    Piešťany – 7 km (cca 8 minút)
•    Bratislava – 88 km (cca 58 minút)
•    diaľnica D1 – 3,6 km (cca 5 minút)
•    dobré spojenie SAD a cestou I. triedy

Prevádzkové náklady:
elektrina: cca 30 € / mesiac
plyn: cca 80 € / mesiac

Cena a podmienky:
Cena: 128.320 €
nehnuteľnosť je kúpou voľná
možnosť financovania v hotovosti alebo hypotekárnym úverom
(radi vám pomôžeme s vybavením prostredníctvom Winners hypotéky)

Tento dom je ideálnou voľbou pre tých, ktorí hľadajú cenovo dostupnejšie bývanie mimo mesta, no nechcú sa vzdať dobrej dostupnosti, občianskej vybavenosti a možnosti dotvoriť si bývanie podľa vlastných predstáv.

Ak chcete bývať pokojne, prakticky a zároveň „na skok“ od mesta, Trebatice vás môžu príjemne prekvapiť.

Táto inzercia nie je verejnou ponukou na uzavretie zmluvy. Vlastník si vyhradzuje právo voľby o tom, komu a za akých dojednaných podmienok prevedie svoje vlastnícke právo. Pri tejto ponuke je možné licitovať kúpnu cenu podľa všeobecných podmienok licitácie v sieti Winners reality uverejnených na: www.winnersreality.sk/licitacia.

Vlastnosti

Status:
aktívne
Vlastníctvo:
osobné
Plocha pozemku:
228 m2
Úžitková plocha:
98 m2
Zastavaná plocha:
110 m2
Stav:
čiastočne prerobený
Počet izieb:
3
Typ budovy:
tehla
Garáž:
áno
Pivnica:
áno
Rok poslednej rekonštrukcie:
2018
Počet garáží:
1
Plocha garáže:
16 m2
Počet pivníc:
1
Inžinierske siete:
áno
Voda:
áno
Elektrika:
áno
Plyn:
áno
Kanalizácia:
áno
Voda - na pozemku:
áno
Elektrika - na pozemku:
áno
Plyn - na pozemku:
áno
Kanalizácia - na pozemku - kanalizácia:
áno
Vykurovanie - centrálne:
áno

Hypotekárna kalkulačka

Video

Virtuálna prehliadka

128 320 €
Ulica: Horná
Obec: Trebatice
Okres: Piešťany
Kraj: Trnavský kraj
Druh: Domy
Typ: Predaj
Typ domu: Rodinný dom

Radi Vám poradíme