Používame cookies

Súbory cookie a ďalšie technológie sledovania používame na zlepšenie vášho zážitku z prehliadania našich webových stránok, na to, aby sme vám zobrazovali prispôsobený obsah a cielené reklamy, na analýzu návštevnosti našich webových stránok a na pochopenie toho, odkiaľ naši návštevníci prichádzajú. Viac info

Slnečný pozemok s panoramatickým výhľadom – Domaša, časť Eva

Popis nehnuteľnosti

Zdieľať na Facebooku

Hľadáte miesto, kde sa ranná káva podáva s najkrajším výhľadom na vodnú hladinu? Ponúkame na predaj výnimočný pozemok v lokalite Domaše – Holčíkovce, rekreačná oblasť Eva.

Základné parametre:

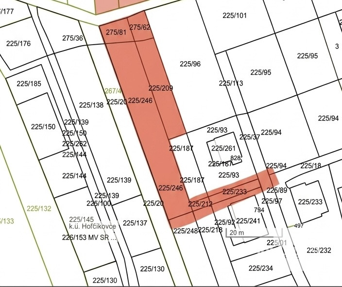
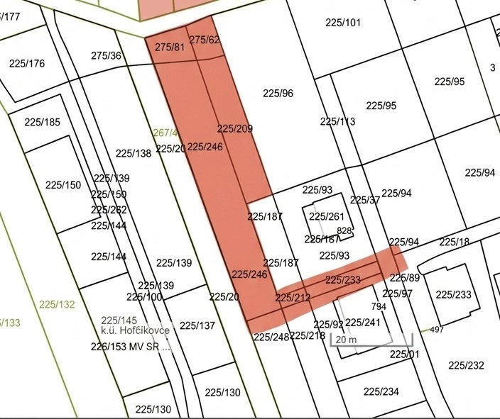
• Výmera: 1072 m²

• Orientácia: Slnečný, mierne svahovitý pozemok zaručujúci celodenné svetlo.

• Inžinierske siete: Vodovodná prípojka a elektrina sú k dispozícii priamo na hranici pozemku.

• Prístup: Cesta k pozemku je momentálne lesná, avšak spevnená a bezproblémovo zjazdná pre celú oblasť.

Lokalita a potenciál:

Pozemok je aktuálne na LV vedený ako orná pôda, no proces jeho rekvalifikácie na stavebnú parcelu (zastavané plochy a nádvoria) už aktívne prebieha na príslušnom úrade. To znamená, že nový majiteľ si môže začať plánovať výstavbu svojej rekreačnej chaty  v blízkej budúcnosti.

Prečo si vybrať práve oblasť Eva?

Oblasť prešla v poslednom období modernizáciou, čo zvyšuje nielen komfort, ale aj hodnotu samotného pozemku:

• Aktívny relax: Nová asfaltová cesta v stredisku je ako stvorená pre milovníkov behu, cyklistiky či korčuľovania.

• Bezpečnosť a komfort: Novovybudované verejné osvetlenie v celej oblasti.

• Gastro zážitky: Len na skok od pozemku sa nachádzajú obľúbené reštaurácie Palermo a Zátoka, kde si môžete vychutnať skvelé jedlo pri západe slnka.

Tento pozemok nie je len kusom zeme, je to príležitosť vytvoriť si zázemie v lokalite, ktorá spája pokoj prírody s dobrou infraštruktúrou.

Cena: 112.000 € vrátane právneho servisu

 

Táto inzercia nie je verejnou ponukou na uzavretie zmluvy. Vlastník si vyhradzuje právo voľby o tom, komu a za akých dojednaných podmienok prevedie svoje vlastnícke právo. Pri tejto ponuke je možné licitovať kúpnu cenu podľa všeobecných podmienok licitácie v sieti Winners reality uverejnených na: www.winnersreality.sk/licitacia.

 

Vlastnosti

Status:
aktívne
Vlastníctvo:
osobné
Plocha pozemku:
1072 m2
Typ zeme:
mierne svahovitá
112 000 €
Ulica: Domaša - Eva
Obec: Malá Domaša
Okres: Vranov nad Topľou
Kraj: Prešovský kraj
Druh: Pozemky
Typ: Predaj
Typ pozemku: Stavebný pozemok

Radi Vám poradíme